Go to The Journal of Clinical Investigation
  • About
  • Editors
  • Consulting Editors
  • For authors
  • Publication ethics
  • Publication alerts by email
  • Transfers
  • Advertising
  • Job board
  • Contact
  • Physician-Scientist Development
  • Current issue
  • Past issues
  • By specialty
    • COVID-19
    • Cardiology
    • Immunology
    • Metabolism
    • Nephrology
    • Oncology
    • Pulmonology
    • All ...
  • Videos
  • Collections
    • In-Press Preview
    • Resource and Technical Advances
    • Clinical Research and Public Health
    • Research Letters
    • Editorials
    • Perspectives
    • Physician-Scientist Development
    • Reviews
    • Top read articles

  • Current issue
  • Past issues
  • Specialties
  • In-Press Preview
  • Resource and Technical Advances
  • Clinical Research and Public Health
  • Research Letters
  • Editorials
  • Perspectives
  • Physician-Scientist Development
  • Reviews
  • Top read articles
  • About
  • Editors
  • Consulting Editors
  • For authors
  • Publication ethics
  • Publication alerts by email
  • Transfers
  • Advertising
  • Job board
  • Contact
p53 maintains lineage fidelity during lung capillary injury-repair in neonatal hyperoxia
Lisandra Vila Ellis, Jonathan D. Bywaters, Amanda Ceas, Yun Liu, Jennifer M.S. Sucre, Jichao Chen
Lisandra Vila Ellis, Jonathan D. Bywaters, Amanda Ceas, Yun Liu, Jennifer M.S. Sucre, Jichao Chen
View: Text | PDF
Research Article Development Pulmonology Vascular biology

p53 maintains lineage fidelity during lung capillary injury-repair in neonatal hyperoxia

  • Text
  • PDF
Abstract

Bronchopulmonary dysplasia (BPD), a prevalent and chronic lung disease affecting premature newborns, results in vascular rarefaction and alveolar simplification. Although the vasculature has been recognized as a main player in this disease, the recently found capillary heterogeneity and cellular dynamics of endothelial subpopulations in BPD remain unclear. Here, we showed that Cap2 cells were damaged during neonatal hyperoxic injury, leading to their replacement by Cap1 cells, which, in turn, significantly declined. Single-cell RNA-Seq identified the activation of numerous p53 target genes in endothelial cells (ECs), including Cdkn1a (p21). While global deletion of p53 resulted in worsened vasculature, EC-specific deletion of p53 reversed the vascular phenotype and improved alveolar simplification during hyperoxia. This recovery was associated with the emergence of a transitional EC state, enriched for oxidative stress response genes and growth factors. Notably, this transitional EC gene signature was conserved in an aberrant capillary population identified in human BPD with pulmonary hypertension, underscoring the biological and clinical relevance of our findings. These results reveal a key role for p53 in maintaining endothelial lineage fidelity during pulmonary capillary repair following hyperoxic injury and highlight the critical contribution of the endothelium to BPD pathogenesis.

Authors

Lisandra Vila Ellis, Jonathan D. Bywaters, Amanda Ceas, Yun Liu, Jennifer M.S. Sucre, Jichao Chen

×

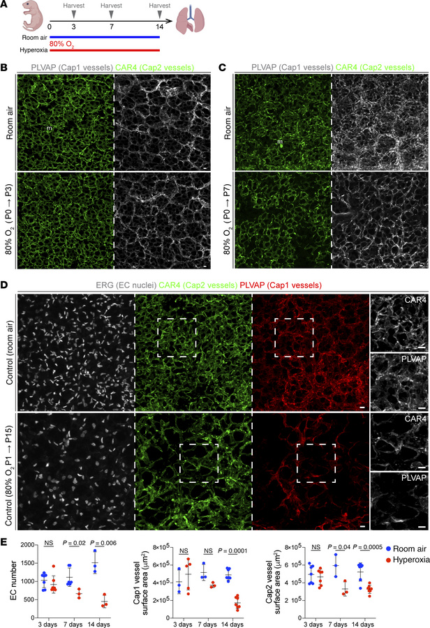
Figure 1

Hyperoxia exposure results in alveolar simplification with cell type–specific effects in ECs.

Options: View larger image (or click on image) Download as PowerPoint
Hyperoxia exposure results in alveolar simplification with cell type–spe...
(A) Experimental model showing continuous neonatal exposure to hyperoxia (80% O2) or room air for 3, 7, or 14 days. Created with BioRender.com. (B and C) En face view of immunostained lungs showing the effect of 3 days (B) and 7 days (C) of hyperoxia exposure on Cap1 vasculature (PLVAP) and Cap2 vasculature (CAR4) compared with room air control. (D) En face view of immunostained lungs showing the effect of 14 days of hyperoxia on EC number (ERG), Cap1 vasculature (PLVAP), and Cap2 vasculature (CAR4) compared with room air control. Boxed regions are shown at higher magnification to the right. (E) Quantifications show that hyperoxia results in a significant reduction in total EC number (ERG), Cap1 vasculature surface area (PLVAP), and Cap2 vasculature surface area (CAR4), with the most dramatic reduction being Cap1 specific (Student’s t test). Images are representative of at least 3 littermate pairs. For quantification, each symbol represents the average of 3 distinct regions imaged within 1 mouse lung. m, macrophage. Scale bars: 10 μm.

Copyright © 2026 American Society for Clinical Investigation
ISSN 2379-3708

Sign up for email alerts